TERRENOS EN VENTA – Las Lomas (Monte Hermoso)
2PF4+W7 Monte Hermoso, Provincia de Buenos Aires, ArgentinaDescripción
-
Descripción:
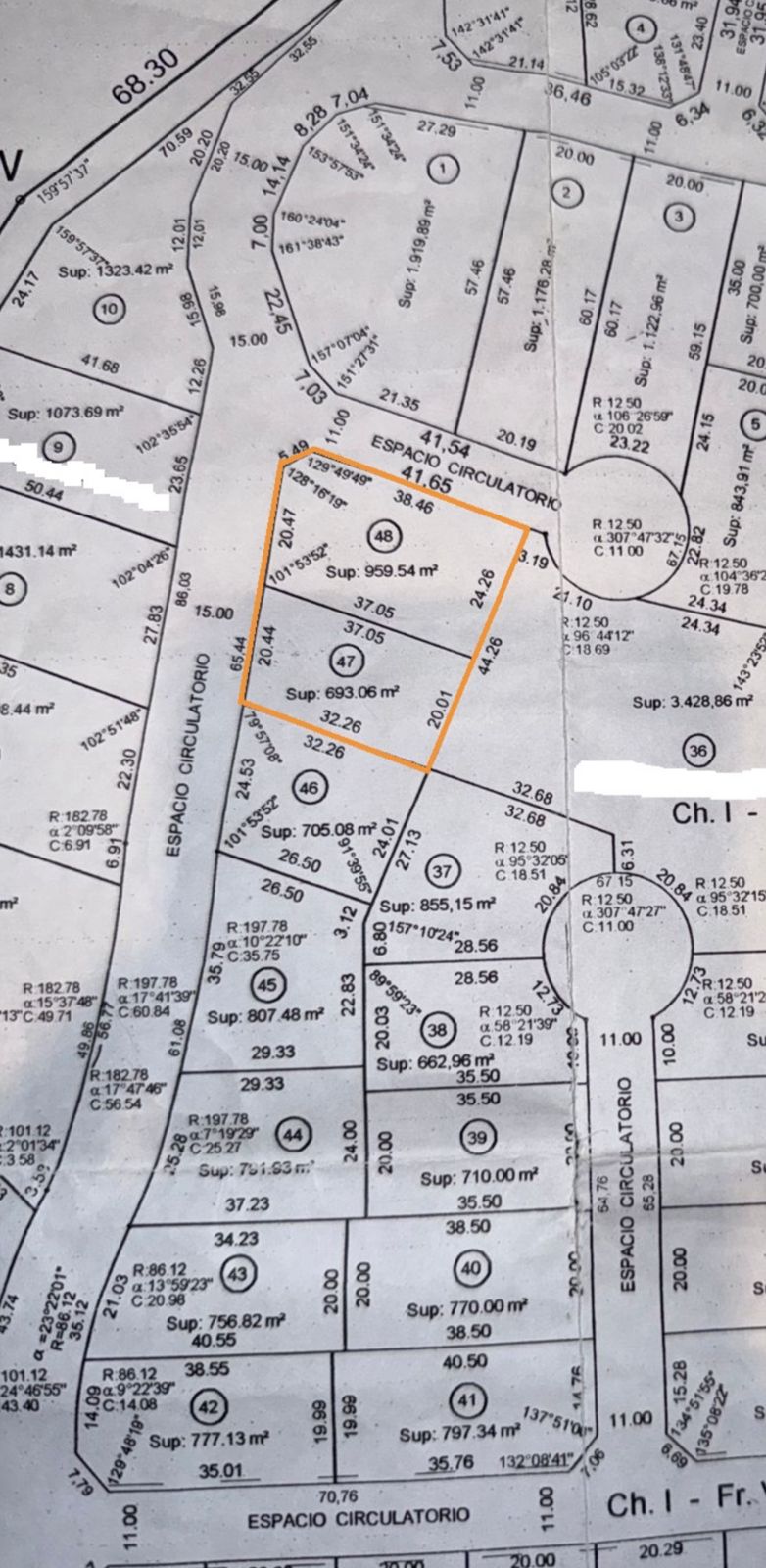
-2 terrenos en venta, 1.690 mts2 totales.
Lote 47 sup: 693,06 m2
Lote 48 sup: 959,54 m2-Terreno en esquina nivelado, listo para construir.
Mostrar toda la descripción
-Bajas expensas
Posibilidad de financiación
Ubicación
- Localidad: Las Lomas
Servicios y características
- Características:
Pregúntele a un agente sobre esta casa
Powered by Estatik
